
Figure 1. Comparison of 11 triatomine vector species of the genera Triatoma and Paratriatoma in the United States (Bern et al. 2020). Two subspecies of Triatoma protracta (protracta and woodi) are featured in the image. Arizona triatomines are indicated with the blue arrows. Image size relative to the scale bar represents the average length of each species.
E. Barrera Vargas, R. Hoey-Chamberlain, C. Weirauch, G. Lawrence (DPD/CDC) and S. Kjos.
Kissing bugs are large, dark brown or black true bugs, belonging in the insect Order Hemiptera. Some species have patterns and markings on their abdomen, which vary by species. As adults they range in size from 0.5 to over 1 inch (13.0 to 33.0 mm) in length. Kissing bugs get their name because these insects often bite people while they are sleeping, and often bite around the mouth or on the face. They are also known as triatomine bugs, conenose bugs, and Hualapai (or Wallapai) tigers. Although kissing bugs are in the same insect order as bed bugs and both feed on blood, they have different life histories.
The biggest health risk kissing bugs pose is one of severe allergic reaction. Some people develop a severe or life-threatening allergy to them after multiple bites. This makes it very important to avoid additional bites. In case of emergency, call 911 if you have symptoms of severe allergic reaction.
There are 11 species of kissing bugs in the U.S., of which seven species in the genera Triatoma and Paratriatoma are found in Arizona (Figure 1) (Klotz et al. 2014). The most troublesome and numerous species associated with human dwellings in Arizona are: T. rubida (Figure 2), T. protracta (Figure 3) and T. recurva (Figure 4) (Wood 1950, Ekkens 1981, Reisenman et al. 2010, Klotz et al. 2014).
- T. rubida, although found throughout Arizona, is most prevalent in the foothill regions of Phoenix and Tucson; shown in Figure 2.
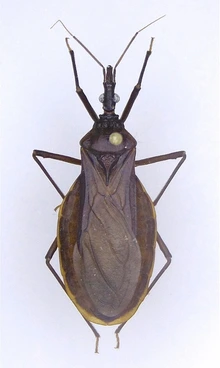
- T. protracta is common in Madera Canyon, Pima County, and Coconino County; shown in Figure 3.
- T. recurva is easily found in Madera Canyon, Sabino Canyon, and Santa Catalina Mountains; shown in Figure 4.
As adults, T. rubida is larger than T. protracta, and is easily distinguished by the reddish or brownish-red lateral markings on the abdomen seen just outside the folded wings. T. recurva is the largest among the three common species, with pronotum uniformly dark colored and strongly up-curved edges of its wide abdomen.
Biology and life cycle
Kissing bugs usually live outdoors and are often associated with the nests of Neotoma woodrat species (also called pack rats) and other wildlife. However, they can also be associated with domesticated animals, and often found in the bedding of outdoor doghouses and chicken coops.
Adults fly well and are attracted to lights after dark. In suburban and rural Arizona, kissing bugs are often attracted to porch lights. At dawn, they may seek a way to avoid sunlight and heat, and may enter a residence through a doorway gap, or cracks around window screens. They also enter homes by moving up from crawlspaces beneath flooring, or hitchhike on pets. Once inside, they move toward areas of low light intensity, hiding in and under furniture (between mattresses is a favorite hiding place) and in closets during the daytime hours. Adult kissing bugs are most commonly encountered during their dispersal season, May through July, when they fly towards homes attracted by lighting (Wood 1950, Ekkens 1981). Some species actively seek out humans and domestic animals to feed on. They are attracted to the gases we exhale, skin odors, and to the warmth of our bodies. Feeding occurs mainly at night, after which they tend to move away from the host. Engorged bugs are often found amongst bedding and drapes close to the bed in the morning.
The kissing bug life cycle begins with the spring to summer nighttime dispersal flight of adults from rodent burrows and dens. Eggs are laid in rodent nests in summer or early fall hatching in three to five weeks. Nymphs pass through five immature stages before turning into mature adults (Figure 5), and each stage requires a full blood meal to develop to the next stage.
Kissing bugs rapidly suck blood within 10 to 30 minutes. Fully engorged bugs can take one to five times their weight in blood, and the bugs will feed about every one to two weeks when hosts are available, and temperatures are warm. Adults live into mid- to late autumn. Kissing bugs overwinter as developing nymphs and molt into adults in spring.
Females can lay up to several hundred eggs over their lifespan depending upon conditions. Active dispersal is achieved by flight in adults, usually around dusk and early evening. Immature kissing bugs cannot fly but crawl to find a blood source.

Figure 5. Kissing bugs life stages from eggs to nymphs to fully grown adults
CDC, Global Health - Division of Parasitic Disease
Bites and alergic reactions
The biggest health risk kissing bugs pose is one of severe allergic reaction. Some people develop a severe or life-threatening allergy to them after multiple bites. This makes it very important to avoid additional bites. In case of emergency, call 911 if you have symptoms of severe allergic reaction.
Kissing bug bites usually occur at night, and may be single or grouped on the face, neck, arms, legs, and sometimes on the chest or other body parts. Bites are initially painless because the insect saliva contains an anesthetic, but might soon itch, swell, and cause a substantial welt that can last for several days. More severe reactions range from huge, painful welts to allergic reactions, that may become severe generating difficult breathing, low blood pressure, and rapid heart rates due to anaphylaxis.
Kissing bug bites can be confused with bites from other pests such as mosquitoes or bed bugs because the reactions can look similar.
Though the bites are generally painless, they can cause intense itching and tenderness at the bite site, which can become swollen and reddish to purple. The irritation may last one to two weeks, but sensitive individuals may experience more severe or prolonged reactions. With multiple subsequent bites, anaphylaxis may occur and may be potentially life threatening. Individuals who experience an allergic reaction should seek immediate medical attention.
If you are bitten by a kissing bug, you should clean the bite site with soap and water. Oral antihistamines like diphenhydramine (e.g., Benadryl), topically applied 3-4% ammonia solution, and bathing in an epsom salt solution may help control itching. Severe reactions require medical treatment. Bites cannot be identified in the absence of an insect. If you find the bug, collect the specimen and put it in a container to take with you when seeking medical attention. Emergency allergy kits are often prescribed for patients who suffer severe reactions to use in case of future bites.
Chagas disease
In parts of southern and central South America, kissing bugs are the primary vectors of the parasite Trypanosoma cruzi that causes Chagas disease. Chagas is a severe, often chronic, and sometimes lethal disease. Unlike mosquito and tick vectored pathogens, the kissing bug bite does not transmit the parasite. The T. cruzi protozoan is transmitted in the kissing bug feces, which may be scratched into the bite wound, ingested, or accidentally rubbed by the host into moist tissues around the eyes, nose, and mouth.
Incidence of Chagas disease is low in the U.S., even though many species of kissing bugs carry T. cruzi in their gut. Researchers attribute the low incidence of Chagas disease in the continental U.S. to poor efficacy of protozoan transmission by the bugs, infrequent human contact, and poor ability of the bugs to permanently colonize homes. Studies (Reisenman et al. 2010) have shown that over 40% of the kissing bugs around Tucson, Arizona carry the parasite, but it is very rare for these bugs to transmit the disease to people.
Evidence of Arizona residents acquiring T. cruzi from Arizona kissing bugs (called autochthonous transmission) is rare (Beatty et al. 2018). In fact, transmission of T. cruzi within the continental U.S. is rare with 28 autochthonous infections documented from 1955 to 2015 (Montgomery et al. 2016, Turabelidze et al. 2020). However, overall risk in the U.S. is undefined and reporting suspected cases will aid surveillance efforts. Chagas cases have been increasing in the U.S., Canada, some European, and Western Pacific countries. This could be due in part to increased population mobility between Latin America where the disease is endemic, and the rest of the world.
Learn more about Chagas disease by visiting the Centers for Disease Control and Prevention (CDC) website.
Testing recommendations
In general, finding a kissing bug in your home or being bitten by one does not necessitate being tested for T. cruzi. As previously mentioned, in the U.S. it is rare for the kissing bugs to transmit the parasite to people. However, visit your healthcare provider if symptoms develop. Testing for T. cruzi is commercially available so you can discuss this with your medical care provider.
Testing might also be indicated in other rare instances, such as if you test positive for T. cruzi during blood screening or if you have lived in countries outside the U.S., where Chagas disease is endemic (Mexico, Central and South America). If a test result comes back positive, a second test is needed to confirm infection.
Pest-proof your home
Pest-proofing your home is the best preventative measure against kissing bug bits. There are a few ways you can reduce the number of kissing bugs present in and around your home. Read our publication about reducing pests around your home.
- Vacuuming up all visible insects from indoor areas, concentrating on cracks and crevices, drapes, and beddings.
- Sealing all cracks and openings into buildings as completely as possible. Use weather stripping, door sweeps, and silicone seal to eliminate small cracks and crevices.
- Screening all windows, doors, and vents.
- Inspecting outside for hidden bugs, look beneath flowerpots and outdoor furniture, and any other dark, sheltered places.
- Pest management professionals can remediate rodent nests under, against, or near buildings (within 350 feet). Only remove those nests close to homes. By leaving distant nests intact, the kissing bugs have an alternative site to inhabit, which can discourage migration into the home.
- Eliminating harborages such as piles of lumber, firewood, and debris around buildings.
- If you have pets, have your pets sleep indoors, especially at night.
- Since these bugs fly at night and are attracted to light, keep doors closed and drapes pulled after dark, move inside lights away from doors and windows. Curtains should be drawn in lighted rooms at night.
- Change external porch lights to LED lights that do not emit U.V. light to a great extent, so are not attractive to insects.
- Regularly examine dark, quiet areas in the home mid-spring to mid-fall, especially sleeping areas.
- A bed net, tucked under a mattress, is the best exclusionary device for those sensitized and at risk for anaphylactic shock.
References
Beatty, N.L., Perez-Velez, C.M., Yaglom, H.D., Carson, S., Liu, E., Khalpey, Z.I., Klotz, S.A. and Elliott, S.P. 2018. Evidence of likely autochthonous transmission of Chagas Disease in Arizona. Am J Trop Med Hyg, 9(6):1534-1536. https://doi.org/10.4269/ajtmh.18-0485.
Bern, C., Messenger, L.A., Whitman, J.D. and Maguire, J.H. 2020. Chagas disease in the United States: a public health approach. Clin Microbiol Rev, 33:e00023-19. https://doi.org/10.1128/CMR.00023-19.
Ekkens, D.B., 1981. Nocturnal flights of Triatoma (Hemiptera: Reduviidae) in Sabino Canyon, Arizona. I. Light collections. J Med Entomol, 18(3): 211-227. https:// doi.org/10.1093/jmedent/18.3.211.
Klotz, S.A., Dorn, P.L., Mosbacher, M. and Schmidt, J.O. 2014. Kissing Bugs in the United States: Risk for Vector- Borne Disease in Humans. Environ Health Insights, 2014:8(S2) 49-59. doi: 10.4137/EHI.S16003.
Montgomery, S.P., Parise, M.E., Dotson, E.M., Bialek, S.R. 2016. What do we know about Chagas disease in the United States? Am J Trop Med Hyg, 95:1225–7.
Reisenman, C.E., Lawrence, G., Guerenstein, P.G., Gregory, T., Dotson, E. and Hildebrand, J.G. 2010. Infection of kissing bugs with Trypanosoma cruzi, Tucson, Arizona, USA. Emerg Infect Dis, 16(3), 400-405. http://doi.org/10.3201/eid1603.090648.
Turabelidze, G., Vasudevan, A., Rojas-Moreno, C., et al. 2020. Autochthonous Chagas Disease - Missouri, 2018. MMWR Morb Mortal Wkly Rep 2020;69:193–195. DOI: http://dx.doi.org/10.15585/mmwr.mm6907a4.
Wood, S.F., 1950. Dispersal flight of Triatoma in southern Arizona. J Parasitol. 36(5): 498-499.
Acknowledgements
This material is in part funded by the National Institute of Food and Agriculture, U.S. Department of Agriculture, under award number 2017-70006-27145 that provides Extension IPM funding to the University of Arizona. Information regarding this document is within the guidelines of the Border 2020 Program funded by the U.S. Environmental Agency (EPA) and administered by NADB. Additional support is provided by the University of Arizona Pest Management Center.